DOVER KENT ARCHIVES

Page Updated:- Monday, 23 February, 2026.

PUB LIST PUBLIC HOUSES Paul Skelton

Earliest 1629-

Green Man

Demolished 1970

1 Dartmouth Row

Blackheath

Green man painting 1868

Above painting by J T Wilson circa 1868.

Green Man drawing

Above drawing, date unknown, kindly sent by Debi Birkin.

Green Man 1833

Above print, 1833.

Green Man print 1833

Above print, 1833, a slightly coloured version of the one above. Kindly sent by Paul Holmes.

Green Man print 1850

Above print circa 1850.

Green Man pre 1868

Above photo, pre 1868.

Green Man

Above photo, date unknown.

Green Man

Above photo, date unknown.

Green Man 1962

Above photo 1962.

 

Said to date as far back as 1629 and supposedly named after "Herne the Hunter," whom it is said had a group of worshippers who gathered in a cavern below the premises. Due to its location it subsequently became an important stopping point for coach traffic. It was also used as the headquarters of the oldest golf course in the world, the Royal Blackheath Golf Course. The original building was demolished in 1868 and replaced with a grand Victorian Style building in 1870. It was still operating in the 1950 and 60s, and they had a boxing area and held Sunday jazz sessions. Johnny Kidd and the Pirates once played there. The pub was unfortunately demolished in 1970 and replaced with a block of flats called Allison Close.

 

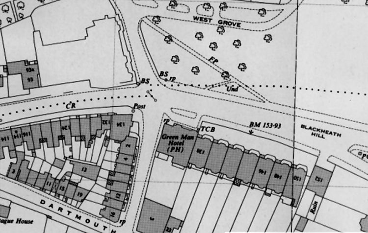
Blackheath map 1950

Above map 1950.

 

Your help is appreciated, and every email is answered.

 

Kentish Gazette 29 June 1768.

Last Saturday the Commissioners of the Highways met at the "Green Man," Blackheath, to fine and punish the act-breaking delinquents, when several waggoners were fined very considerable sums for over-weight, and others for insults to keepers of turnpikes, and other misdemeanours committed on the highway.

 

Kentish Gazette, 22 August, 1806.

DIED.

Lately, Mrs. Walker, wife of Mr. C. Walker, of the "Green Man," Blackheath, in this county.

 

From the Kent Herald, 14 August 1828.

CRIMINAL SIDE, Before Sir William Garrow.

William Smith and Thomas Piety, labourers, were charged with stealing a black mare, the property of John Silver, at Herne.

Prosecutor had a mare stolen from his stable on the night of the 21st of May, and on the 2nd of June found her at the "Green Man," Blackheath.

James Sladden, a farmer at Hoath, on the same night, lost a brown Mare, and found her on the second of June at the "Green Man."

Sarah Sole, a young woman living with her father at Hearne Street, gave evidence with great unwillingness; on the 21st of May saw two young men served several times at her father's house, prisoners did not now look like the man, they were not dressed the same; she thought Smeeth was one of them, but could not be positive. On being cautioned by his Lordship, she said she knew Smeeth very well, and he was one of the men; the other was like Piety, but she was not certain about him; she described the dress of both.

Thomas Holness, a labourer saw prisoners at the "Maypole," at Hoath, about half a mile from Mr. Sladden's on the evening of the 21st.

James Flory, a man employed on the road at Gadds Hill, near Rochester, on the morning of the 22nd saw two men on horseback; the horse appeared very much tired, Piety spoke to him, and they were five minutes in his sight; he was sure as to Piety, but not to Smeeth. The horses corresponded with the description of those stolen; he saw them again at Canterbury, and was positive as to the brown one.

George Finch, landlord of the "Guy Earl of Warwick," at Welling, about a week before Whitsentide, in the morning, saw two men come to his house on horseback; Piety was one of the men, and Smeeth was about the size of the other. He took particular notice of the black mare, because he thought it would suit a friend of his, Mr. Sterling, but on the other telling him it had a white eye, he did not notice it further. The mares corresponded with the description of those stolen; he saw them afterwards at Canterbury, and was positive as to the black one.

Thomas Spite, Osler to the last witness, corroborated the evidence of his master, excepting that he did not mention the white eye till the men were gone; he was positive as to the prisoners being the men.

Henry Bisley apprehended Piety at Ashford.

The several witnesses deposed that the dress of the men answered to the description given.

Verdict Guilty.

His Lordship told prisoners the frequency of the offence of which they had been guilty, had become so prevalent, that it was necessary to visit it with severity of punishments; last on account of the youth, and the strong recommendation of the prosecutor, their lives will be spared, he accordingly ordered Judgment of Death to be recorded against them.

 

 

LICENSEE LIST

WALKER C Mr 1806+

WHITMARSH Thomas 1832-34+ Pigot's Directory 1832-34

CHAPLIN George 1841+ Census

WHITMARSH Thomas to Feb/1848

WHITMARSH Ann Feb/1848-66+

PETTIT Henry James 1874+

ORCHARD Eliza Susan 1881-91+ (widow age 53 in 1881Census)

PARSONS James 1896-1905+

LAMBERT George Percy 1908+

SMITH Ethel Mary Mrs 1911+

OSBORN George 1919+

DE WINTON DONNING John Eden & HICKEY Daniel 1938+

ROSE Archie 1944+

https://pubwiki.co.uk/GreenMan.shtml

http://www.closedpubs.co.uk/greenman.html

 

Pigot's Directory 1832-34From the Pigot's Directory 1832-33-34

CensusCensus

 

If anyone should have any further information, or indeed any pictures or photographs of the above licensed premises, please email:-

TOP Valid CSS Valid XTHML